[Katastr] Věcné břemeno podle GP - slučování pozemků

Petr Holý holy.p na volny.cz
Středa Srpen 31 21:52:13 CEST 2016


Dobrý den,
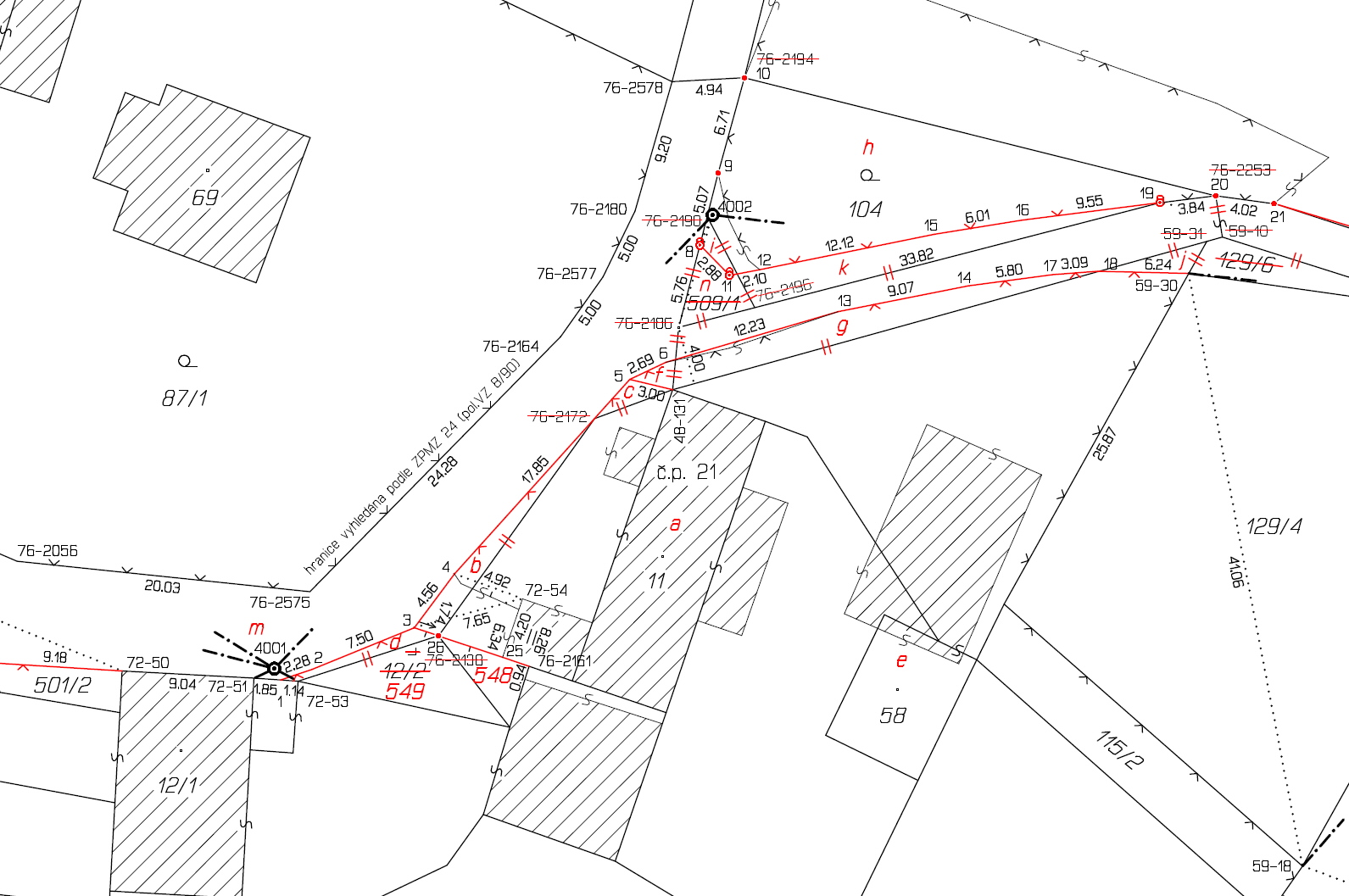
posílám malou ukázku části geom. plánu současné cesty, která až na 
drobné detaily kopíruje historickou cestu.

V daném případě se účastníci smlouvy dohodli, že ke smlouvě přistoupí i 
oprávněný z věcného břemene užívání na st.p.11, st.p.58 a p.p. 104 a 
rozsah práva užívání se změní. Zároveň se dohodli na zpřesnění bodů mezi 
smluvními stranami.

Kdyby se vlastníci nedohodli ani na zpřesnění, ani na formální změně 
rozsahu práva užívání, šlo by vzhledem lokálním nedostatkům KMD o 
víceméně neřešitelnou situaci.

Kdyby se dohodli na zpřesnění (včetně nově omezníkovaných bodů na 
fakticky zanikajících hranicích), ale oprávněný z užívání by ke smlouvě 
nepřistoupil, tak by musely mít díly b, c+f+g, i, j, k  nová samostatná 
parcelní čísla. Pak by v mapě vznikla nepřehledná změť parcelních čísel. 
Právo užívání by v tom případě zůstalo formálně zapsané i na částech 
veřejné komunikace, naopak by nebylo zapsáno na některých dílech 
skutečného dvora a zahrady.

Kuriózní na tom je, že v době uzavření smlouvy u věcném břemeni užívání 
už byla cesta i ploty tak jak jsou dnes. Účastníci smlouvy o břemeni ji 
podle jejich přesvědčení uzavírali na skutečné nemovitosti, jak je znají 
a užívají ve skutečném terénu, a jak jsou zobrazené jako nový stav geom. 
plánu.

Zpřesnění by možná šlo provést v trošku větším rozsahu, kdyby KMD 
přesněji převzala geometrii mapy PK, nebo kdyby šlo zpřesňovat přes 
mezní odchylku 2,84 m. Kombinovat takovýto geom. plán ještě navíc s 
opravou chyby, to už by bylo v rámci jednoho plánu neřešitelné.

Důvodem k majetkoprávnímu řešení byl záměr dát dosavadní polozpevněné 
cestě asfaltový koberec, s jistotou že se asfalt bude dávat na obecní 
pozemek. Jinak by asi bylo lepší žádný geom. plán ani smlouvy nedělat a 
nechat terén jak je, i KMD jak je.
Petr Holý



---
Tato zpráva byla zkontrolována na viry programem Avast Antivirus.
https://www.avast.com/antivirus
------------- další část ---------------
A non-text attachment was scrubbed...
Name: vyrez_nacrtu.jpg
Type: image/jpeg
Size: 490941 bytes
Desc: [žádný popis není k dispozici]
URL: <https://katastr.zememeric.cz/pipermail/katastr/attachments/20160831/73cccd01/attachment-0002.jpg>
------------- další část ---------------
A non-text attachment was scrubbed...
Name: zakres_do_KMD.jpg
Type: image/jpeg
Size: 347546 bytes
Desc: [žádný popis není k dispozici]
URL: <https://katastr.zememeric.cz/pipermail/katastr/attachments/20160831/73cccd01/attachment-0003.jpg>


Další informace o konferenci Katastr